دانشمندان راز شگفت جسد مردی از حماسههای نورس را کشف کردند + عکس_دانشجو
به گزارش دانشجو حماسهای باستانی نورس میگوید سال 1197 میلادی افرادی به قلعهای به نام سورسبورگ (Sverresborg) در شهر تروندهایم...
به گزارش دانشجو حماسهای باستانی نورس میگوید سال 1197 میلادی افرادی به قلعهای به نام سورسبورگ (Sverresborg) در شهر تروندهایم...
به گزارش دانشجو مطالعهای تازه از یک دفن دستهجمعی شامل باقی مانده بیشتر از 100 نفر، مشخص می کند که...
در اعماق رسوبات یک معدن در اوکراین تکه سنگهایی کشف شده که بهحرف های دانشمندان، انسان راستقامت (Homo erectus) که...
دانشمندان در مطالعه جدیدی اظهار کردهاند که یک جنگل حرا باستانی با درختانی که ارتفاع آنها به نزدیک به 40...
تازه ترین یافتههای باستانشناسان در استان مرکزی هِنان در چین از یک کاخ ۴٬۰۰۰ ساله و تأسیسات ذخیره غلات پرده...
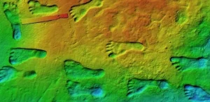
باستانشناسان براساس تصاویر یک ماهواره جاسوسی متعلق به ایالاتمتحده که در طول جنگ سرد گرفته شده بودند، تقریباً 400 قلعه...
داستان آشنایی وجود دارد که میگوید در دوران ماقبل تاریخ، مردان شکارچی و زنان گردآورنده بودهاند. زنان از نظر جسمی...
زمان و نحوه مستقرشدن اولین انسانها در قاره آمریکا از زمانهای قدیم موضوع بحثوجدل دانشمندان بوده است. در قرن بیستم،...